Institut numerique

–C– De nouveaux métiers :

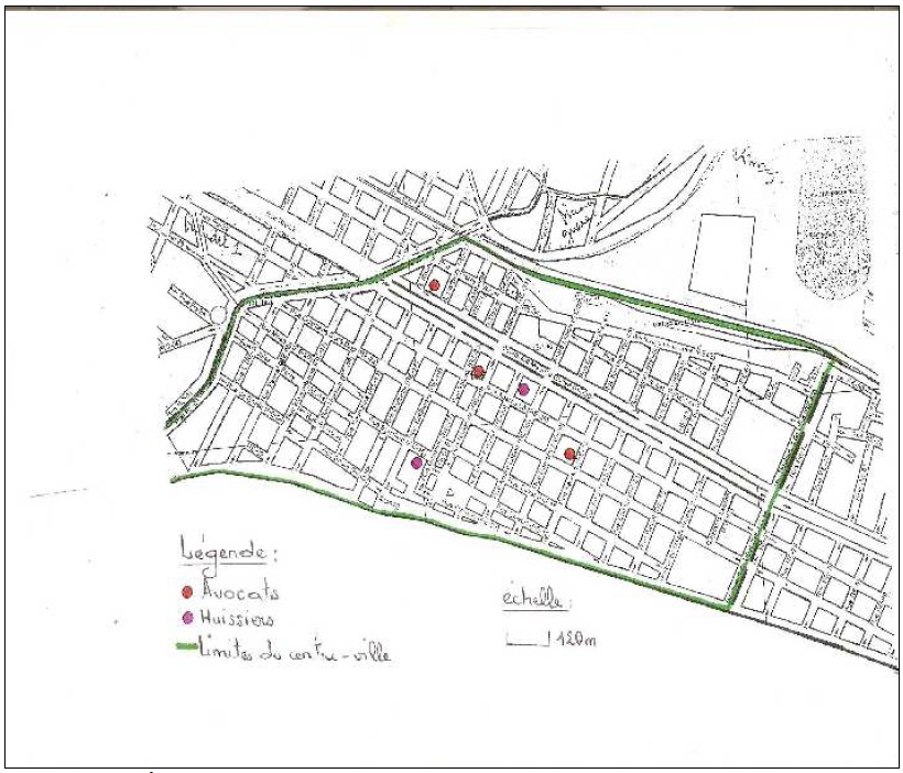
Il s’agit de cabinet d’avocats et d’huissiers de justice. Leur nombre n’est pas trop important au
vue des autres fonctions présentes au centre-ville. Mais ce sont des indicateurs de l’apparition de
nouvelles fonctions plus spécialisées dans la cité de l’arachide.

On les retrouve également vers la zone périphérique particulièrement au niveau des HLM.

Figure 11 : localisation des avocats et huissiers au centre-ville de Rufisque

Source : réalisation personnelle

Page suivante : –D– De nouveaux champs fonctionnels à explorer :

Retour au menu : ETUDE DU CENTRE-VILLE DE RUFISQUE :CARACTERISTIQUES DU PAYSAGE URBAIN ET MUTATIONS FONCTIONNELLES