Institut numerique

–B–1 Des services et encore des services :

Graphique 4 : répartition des différents services

Source : réalisation personnelle

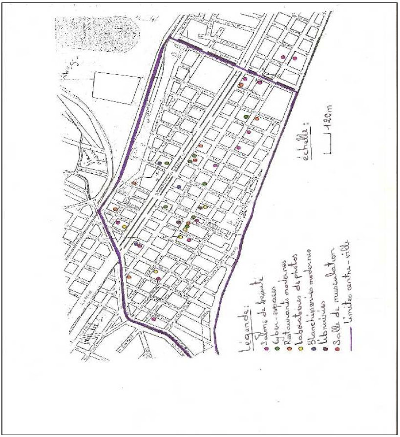
Figure 14 : Localisation des services


Source : réalisation personnelle

En ce qui concerne le pôle des services nous pouvons voir que le centre-ville de Rufisque est bien
outillé pour ne serait-ce remplir une partie de ses fonctions à savoir proposer des services divers.

Ainsi, les nouvelles technologies de l’information et de la communication se sont développées de
façon très rapide au centre –ville, avec la création de nombreux cyber-espaces, on a dénombré en
tout 8 cybercafés, concentrés pour la grande majorité dans la zone de Keury Kao.

Les soins esthétiques ont aussi connu un essor avec l’apparition de nombreux salons de coiffure,
et pour certains une école de formation. Ils caractérisent le plus le centre-ville en raison de leur
grand nombre, 11 salons dont 2 hors de ses limites.

Ce pôle de service est renforcé par la présence de restaurants modernes, de laboratoires de
photos, de salle de musculation etc.

Le centre-ville de Rufisque c’est aussi, un paysage de bars et de Night Clubs, avec tout
récemment la construction d’une structure moderne(R+3) faisant office de Dancing et de bar club
à Keury Kao (cela avait soulevé la colère des populations qui n’ont rien pu faire).

Page suivante : –B–2 Des boutiques très spécialisées :

Retour au menu : ETUDE DU CENTRE-VILLE DE RUFISQUE :CARACTERISTIQUES DU PAYSAGE URBAIN ET MUTATIONS FONCTIONNELLES