Institut numerique

–A– De nouveaux pôles sanitaires :

Dans le domaine de la santé, les mutations sont très importantes avec l’apparition de plusieurs
structures modernes avec des spécialités aussi variées les unes que les autres.

Ainsi, tout dernièrement, on a été en présence de l’apparition de pharmacies, de nouvelles
cliniques privées mais également de plusieurs cabinets.

Ces fonctions nouvelles viennent renforcer le poids du centre-ville en tant que pôle promoteur de
services plus performants.

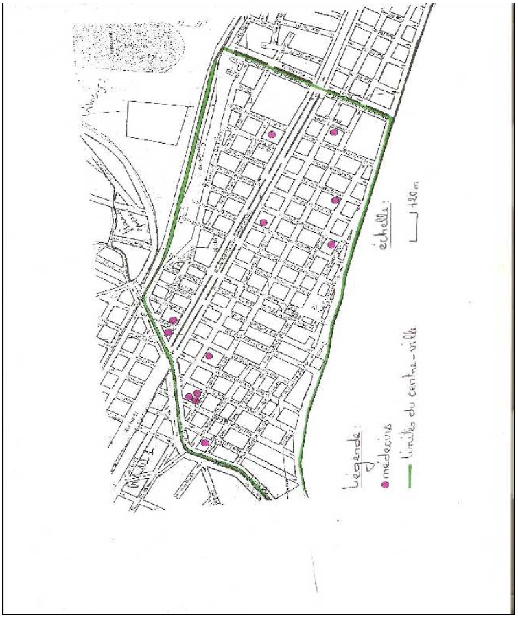
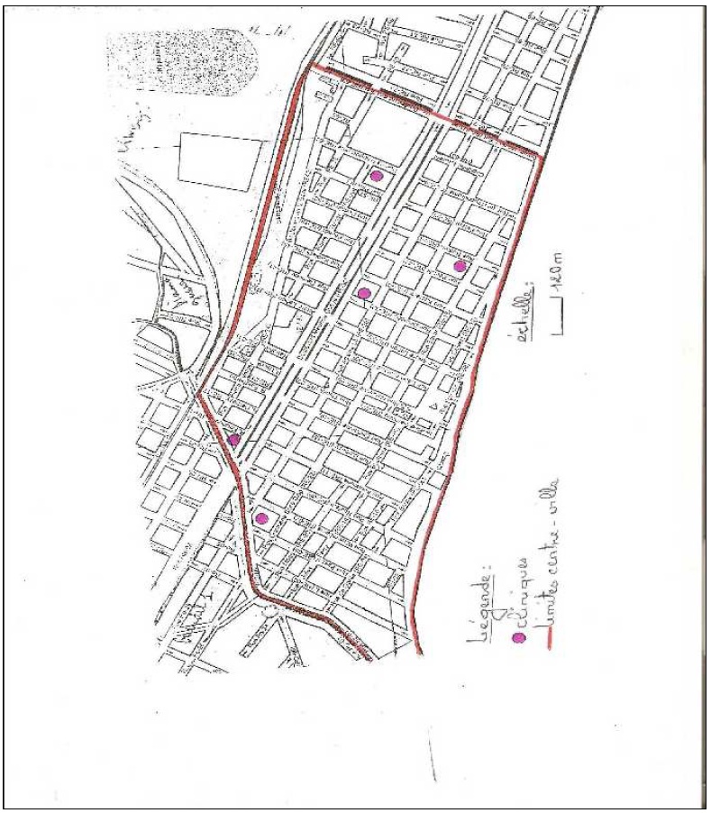
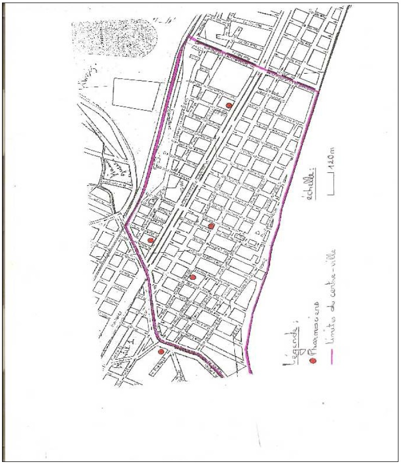
Nous les avons localisés sur les cartes qui suivent.

Figure 7 : localisation des médecins au centre-ville de Rufisque


Source : réalisation personnelle

Figure 8 : localisation des pharmaciens au centre-ville de Rufisque


Source : réalisation personnelle

Figure 9 : localisation des cliniques au centre-ville de Rufisque


Source : réalisation personnelle

Page suivante : –B– Un pôle bancaire en constitution :

Retour au menu : ETUDE DU CENTRE-VILLE DE RUFISQUE :CARACTERISTIQUES DU PAYSAGE URBAIN ET MUTATIONS FONCTIONNELLES